Marantz Model 22 Receiver
I wanted to showcase two Marantz Model 22 receivers that came in for restoration. Manufactured from 1969 to a last run of 1972, their are two version, one revised and the early models. Rated at 40/W over 8 ohms. The Model 22 is an excellent sounding early Marantz receiver pre-dating the 22XX series runs. The Model 22 tends to be a very extensive rebuild as it hosts an array of the 2SC458 transistors which are very failure and noise prone BJT devices. Along with a plethora of service updates and bulletins.
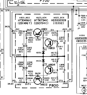
P800 Power Supply & P980 Speaker Protection
The Model 22 has an interesting design for the power supply. using a dual configuration supplying a 27/35V rails for the tone/phono and driver + driver stage and a 12V rail tap for the RF and differential front end driver sections.
The original topography used two large metal 1000/MFD 50V can capacitors which were replaced with a 10mm leaded high temp (105C) low impedance Nichicon PW capacitors. The remaining electrolytics were replaced with high temp (105C) low impedance Nichicon PW and Panasonic FR/FC capacitors. The section bridge rectifier bypass with .01/MFD Panasonic ECW film capacitors.
The original RF front end H801 BJT 2SD324 was replaced with a 2073NPN BJT. I do want to note that H801 pinout is different on the unrevised and revised versions. Pinout of this TO-220 is typically BCE. On the unrevised model the pinout is ECB so the TO-220 was mounted under the chassis with a new MICA insulator, this is better than cropping the legs to the correct BCE, just transposed the BJT. Both H803/804 2SC734 BJT’s were replaced with 1845 NPN BJT devices and H805/806 1S332 diodes replaced with a 7.5Vfd diode. Note the output difference for the two model at J805 of 35 and 27Vdc. The two 4700MFD 50V filtering capacitors were replaced with a low ESR Panasonic THA 5600MFD capacitors with a low profile to help keep the surface down from heat.
P980
The speaker protection PCB is located under the P800 assembly. Their are two very different topographies used between the two Model 22 versions. The revised version omitted the flyback diode arrays H984/985 for some reason, which is added back with a Utra Fast 4005 diode cathode at J983 and anode to J984. The problematic 2SC984 metal transistor seen on the later 2270 mods is replaced with a more reliable MJE243 BJT device and H981 2SC828 updated to a 1845 NPN BJT device. All the electrolytic were replaced with a high temp (105C) low impedance Nichicon PW capacitor.
The older LY relay was mounted under the chassis to a L bracket near the output inductors. I actually havent come across this mount but on these 2# series Marantz, they tack the relay with a screw through the bottom threshold. I replaced the original my a 24V Low Noise Omron MY2 relay, fixed with a plastic safe epoxy to the bracket.
P700 DC/FM Amplifier Assembly
Again, similar to the P980 assembly their are two versions of the P700 PCB. One with a BJT network and one version consisting of a 4 NPN driver configuration. All of the electrolytics here were replaced with a audio grade Nichicon KA capacitors and the original .22MFD mylar films replaced with a high quality WIMA polypropylene film capacitor. The original H705/706 were noted to be the problematic 2SC458 devices, which were replaced with matched 1845 NPN BJT’s along with H707/708 2SA494 with complimentary KSA992 BJT’s. H709 was replaced with a general 4148 diode.
P400 Tone/Pre Amp & P300 RIAA (PHONO)
The pre-amplifier topography reminds me of what we see in the 1030/1060, 2230+ Marantz. A very simple, musical symmetric topography. I love this design. Employees with a NPN front end gain stage and variable RC feedback design.
The original mylar .22MFD input coupling films were replaced with two high quality .22MFD WIMA polypropylene film capacitors. Due to their footprint some mounting modifications had to be integrated. High grade WIMA polypropylene were also used for the output 1MFD capacitors. All remaining 100/22/2.2MFD electrolytics were replaced with a audio grade Nichicon KA capacitor. The P400 assembly again uses the problematic 2SC458 BJT device at H401/402 which were replaced with 1845 NPN BJT devices. Due to the high rate of issues within the Model 22 pre-amp the remaining BJT’s were updated as well with KSA992/KSC1845 low signal BJT devices.
P300 RIAA
The phono stage in any Marantz is superb after some TLC, some of the best I know, the documented RIAA response is damn near flat on the Model 22. Impressive stage.
The original 1MFD electrolytics were replaced again with high grade WIMA polypropylene film capacitors and remaining electroyltyics with Nichicon Fine Gold and KA capacitors. This is one of the few RIAA marantz stages without the 2SC458 or glass pack VD diodes which is nice to see.
P600 Power Amplifier
The Model 22 driver section is a push-pull symmetric single pcbs assembly, with the exception of the input its a direct coupled design utilizing a degenerative feedback array. The P600 uses a TO-99 differential amplifier IC for the initial gain stage versus a pair of differential pair TO-92’s thermally coupled. The MC1741 is updated with a LM741 package available in a TO-99 or DIP8 device.
LM741 Block Diagram
Input films at C601/602 were replaced with a high quality Solen MPK film capacitor. All the electroylytics here were replaced with a Nichicon Fine Gold 100MFD capacitor. Signal path mylar’s were removed and replaced with a high grade WIMA polypropylene film capacitor along with the output .22MFD capacitor with a footprint modification at the output pins.
Bias punkten
J606/608 for 10mV beim R961
J607/609 fur 10mV beim R962
RF Stage
The remaining AM/FM PCB assemblies had their respective capacitors replaced with a low impedance high temp (105C) Nichicon PW capacitor along with two 220MFD capacitors foil side. The dual AM/FM tuning capacitors were cleaned with 99.999% anhydrous alcohol and dusted.
LED Lamping
New Led’s were installed at the meters and dial display. These were hand-made using the original BA9S bulb bases. By heating the metal base you can separate the glass bulb and remove the original filaments, leaving just enough room for diode/resistor.
Audio Notizen
Still graphing our response but initial results look great.
500Hz 19.14Vrms (45.79W/Ch @ .057%dB THD+N
1000Hz 19.14Vrms (45.79W/Ch @ .059%dB THD+N
10000Hz @ .059% THD+N












No comments:
Post a Comment